Mắt Bão Là Gì? Đặc Điểm Và Cách Nó Hình Thành
Trong nghiên cứu khí tượng, khu vực trung tâm của một xoáy thuận nhiệt đới luôn là đối tượng quan sát trọng yếu nhất. Để hiểu về sự hình thành và biến đổi của những cơn bão lớn, câu hỏi nền tảng cần đặt ra là mắt bão là gì. Đây không chỉ là một khoảng không gian quang mây, lặng gió giữa vòng vây của những bức tường mây dữ dội, mà còn là nơi phản ánh rõ nét nhất cường độ và trạng thái năng lượng của toàn bộ hệ thống bão. Chúng ta hãy cùng đi sâu vào tìm hiểu đặc điểm của cấu trúc đầy quyền năng này.
Mắt bão là gì?
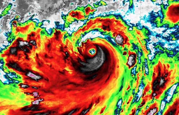
Mắt bão là vùng trung tâm có hình dạng gần như hình tròn, với đường kính phổ biến từ 30 đến 60km (có thể lên tới 200km với những siêu bão). Đây được xem là “trái tim” của cơn bão nhiệt đới, bao gồm áp thấp nhiệt đới, bão và bão lớn. Trái ngược hoàn toàn với các dải mây gió xoáy dữ dội xung quanh, bên trong mắt bão thời tiết cực kỳ tĩnh lặng: Gió nhẹ, bầu trời quang đãng hoặc chỉ có mây thưa và áp suất khí quyển ở mức thấp nhất trong toàn bộ hệ thống bão.

Mắt bão là khu vực trung tâm của một cơn bão nhiệt đới
Hiện tượng này chỉ xuất hiện ở những cơn bão mạnh, có cấu trúc tổ chức cao. Một cơn bão có mắt bão rõ ràng, thường nhìn thấy được từ ảnh vệ tinh, là dấu hiệu cho thấy nó đã đạt cường độ đáng kể (thường từ cấp 2 trở lên theo thang Saffir-Simpson). Mắt bão chính là đặc điểm nhận dạng quan trọng, minh chứng cho sức mạnh và sự phát triển hoàn chỉnh của một xoáy thuận nhiệt đới.
Đặc điểm của mắt bão
Vùng trung tâm đặc biệt này sở hữu những đặc tính trái ngược hoàn toàn với phần còn lại của cơn bão:
- Thời tiết tĩnh lặng: Gió trong mắt bão rất yếu, gần như lặng gió. Bầu trời thường quang, có thể nhìn thấy mặt trời, mặt trăng hoặc sao, tạo cảm giác như cơn bão đã tan. Áp suất khí quyển tại đây đạt mức cực tiểu, thấp hơn rất nhiều so với vùng ngoài.
- Nhiệt độ cao: Không khí trong mắt bão có nhiệt độ ấm hơn đáng kể so với không khí xung quanh ở cùng độ cao. Sự chênh lệch này có thể lên tới 10°C hoặc hơn. Nguyên nhân là do không khí bị nén xuống (dòng giáng) từ trên cao, gây ra hiện tượng ấm lên do nén đoạn nhiệt.
- Hình dạng và kích thước: Mắt bão thường có dạng hình tròn hoặc hình elip. Đường kính của nó có thể thay đổi theo thời gian, liên quan đến cường độ bão. Thông thường, mắt bão nhỏ thường liên quan đến những cơn bão rất mạnh. Ngược lại, mắt bão lớn (rộng hàng trăm km) thường xuất hiện ở những cơn bão có cường độ yếu hơn hoặc đang suy yếu.
- “Tường mắt bão”: Bao quanh mắt bão là một bức tường mây dày đặc, cao vút lên tới tầng bình lưu (có thể cao 15 – 20km). Đây chính là vùng nguy hiểm nhất của cơn bão, nơi tập trung gió mạnh nhất, mưa lớn nhất, giông sét dữ dội nhất và các hiện tượng thời tiết cực đoan như lốc xoáy. Tường mắt bão là ranh giới rõ rệt giữa sự hủy diệt và sự yên bình.

Vùng mắt bão có những đặc điểm trái ngược với phần còn lại của cơn bão
Mắt bão hình thành như thế nào?
Sự hình thành của mắt bão là một quá trình cơ học khí quyển phức tạp, đánh dấu sự chuyển mình từ một cơn bão nhiệt đới thông thường sang một cơn bão có tổ chức chặt chẽ. Cơ chế hình thành mắt bão diễn ra qua các bước:
- Sự hội tụ không khí: Không khí ẩm và nóng từ bề mặt đại dương bị hút vào trung tâm bão, sau đó bay lên cao tạo thành các dải mây dông.
- Lực ly tâm: Khi bão quay nhanh dần, lực ly tâm đẩy không khí ra xa tâm bão, tạo thành một khoảng trống ở giữa.
- Dòng khí chìm (Subsidence): Một phần không khí sau khi bay lên cao đến đỉnh bão sẽ không tỏa ra ngoài mà bị đẩy ngược xuống trung tâm. Dòng khí đi xuống này bị nén lại và nóng lên, làm bốc hơi mọi hơi ẩm, tạo ra vùng quang mây lặng gió.
- Áp suất cực thấp: Quá trình này tạo ra một cột áp suất cực thấp ở trung tâm, đóng vai trò như một thỏi nam châm khổng lồ duy trì cấu trúc của toàn bộ cơn bão.

Cấu trúc của một cơn bão
Tầm quan trọng của mắt bão trong dự báo thời tiết
Đối với các nhà khí tượng học, mắt bão là một “phòng thí nghiệm” tự nhiên cung cấp những dữ liệu quan trọng nhất để đánh giá sức mạnh và lộ trình của cơn bão.
Vai trò của việc quan sát mắt bão trong dự báo bao gồm:
- Xác định cường độ: Theo quy luật, mắt bão càng nhỏ, tròn và rõ nét thì cơn bão đó càng mạnh và có cấu trúc ổn định.
- Đo lường áp suất: Việc thả các thiết bị đo (dropsonde) vào mắt bão giúp xác định áp suất trung tâm. Áp suất càng giảm sâu, sức gió của bão càng tăng mạnh.
- Theo dõi lộ trình: Tâm của mắt bão chính là tọa độ dùng để vẽ đường đi của bão. Việc theo dõi sự dịch chuyển của điểm này giúp đưa ra các cảnh báo sớm cho vùng bị ảnh hưởng.
- Chu kỳ thay thế vách mắt bão: Trong các siêu bão, một vách mắt bão mới có thể hình thành bên ngoài vách cũ và dần thay thế nó. Quan sát quá trình này giúp dự báo được sự thay đổi đột ngột về cường độ bão.

Dự báo thời tiết sẽ dựa vào mắt bão để đánh giá sức mạnh và lộ trình của cơn bão
Mắt bão có nguy hiểm không?
Mắt bão cực kỳ nguy hiểm, không phải vì thời tiết tại đó, mà vì sự “lừa dối” của nó đối với những người chưa có kinh nghiệm. Sự nguy hiểm của mắt bão thể hiện qua các điểm sau:
- Cạm bẫy tâm lý: Khi mắt bão đi qua một khu vực, thời tiết đột ngột trở nên yên bình, bầu trời quang đãng. Nhiều người lầm tưởng rằng cơn bão đã kết thúc và có thể ra ngoài để kiểm tra thiệt hại hoặc di tản. Đây là sai lầm chết người. Sự tĩnh lặng này chỉ là tạm thời và sẽ nhanh chóng bị thay thế bởi phần tường mắt bão tiếp theo với sức gió cực mạnh đến từ hướng ngược lại. Thời gian yên ả này có thể kéo dài từ vài phút đến hàng giờ, tùy thuộc vào kích thước mắt bão và tốc độ di chuyển của cơn bão.
- Sự trở lại của “bức tường chết chóc”: Quá trình thay thế tường mắt bão có thể khiến cơn bão mở rộng kích thước, mở rộng vùng ảnh hưởng của gió mạnh và mưa lớn, gây thiệt hại trên diện rộng hơn.
- Sóng biển dữ dội: Mặc dù gió trong mắt bão nhẹ, nhưng bên dưới đại dương, các cơn sóng từ mọi hướng của vách mắt bão hội tụ về trung tâm, tạo ra những con sóng hỗn loạn và cực cao, rất nguy hiểm cho tàu thuyền.

Mặc dù gió trong mắt bão nhẹ nhưng có thể gây ra sóng biển dữ dội
Câu hỏi liên quan
Để làm rõ hơn về hiện tượng này, hãy cùng giải đáp những thắc mắc phổ biến mà nhiều người vẫn thường nhầm lẫn. Mắt bão luôn đi kèm với những khái niệm dễ gây hiểu lầm:
Trong mắt bão có gì?
Trong mắt bão thực tế là một vùng không khí khô, ấm và lặng gió. Tuy nhiên, nếu bạn đứng ở đó, bạn sẽ thấy xung quanh là một bức tường mây giông cao tới 15 – 18km bao bọc. Đôi khi, chim chóc bị cuốn vào bão cũng sẽ tụ tập trong mắt bão để tìm nơi trú ẩn tạm thời cho đến khi bão tan.
Tâm bão và mắt bão là gì? Có gì liên quan?
Tâm bão là một khái niệm rộng hơn, chỉ điểm trung tâm địa lý của hệ thống áp thấp. Mắt bão là biểu hiện vật lý cụ thể của tâm bão khi bão đã mạnh. Không phải cơn bão nào cũng có mắt bão (những cơn bão yếu thường chỉ có trung tâm vẩn đục), nhưng mọi mắt bão đều nằm tại tâm bão. Có thể coi mắt bão là “phần nhìn thấy được” của tâm bão trên ảnh vệ tinh.
Mắt bão là gì? Khám phá về mắt bão không chỉ đơn thuần là tìm hiểu một hiện tượng khí tượng kỳ thú, mà còn là bài học về sự tôn trọng sức mạnh thiên nhiên. Sự tồn tại của vùng tĩnh lặng hoàn hảo giữa tâm cuồng phong ấy là lời cảnh báo đanh thép về tính hai mặt của sự dữ dội: vẻ bình yên giả tạo ở trung tâm cơn cuồng phong chính là dấu hiệu của một thực thể khí tượng mạnh mẽ nhất. Việc theo dõi sát sao sự biến đổi của mắt bão qua các bản tin dự báo chính là cách tốt nhất để chúng ta chủ động ứng phó và bảo vệ tính mạng trước những cơn giận dữ của thiên nhiên.
27°
Mây cụm
Cảm giác như 32°.
Mặt trời mọc/lặn
Thấp/Cao
Độ ẩm
Tầm nhìn
Gió
Điểm ngưng
UV
Tin tức mới nhất
