Siêu Bão Là Gì? Chúng Khác Gì So Với Bão Thông Thường?
Khi tình trạng biến đổi khí hậu ngày càng diễn biến phức tạp, chúng ta thường xuyên nghe đến thuật ngữ siêu bão, một cấp độ thiên tai vượt xa mọi cơn bão thông thường. Siêu bão là gì mà có thể gây ra những thiệt hại kinh hoàng, làm thay đổi địa hình và cướp đi sinh mạng hàng nghìn người? Việc hiểu rõ cơ chế, cấu trúc và sức mạnh của loại hình xoáy thuận nhiệt đới cực mạnh này là bước đầu tiên và quan trọng nhất để xây dựng các chiến lược phòng chống hiệu quả.
Siêu bão là gì?
Siêu bão là thuật ngữ dùng để chỉ những cơn bão nhiệt đới có sức gió duy trì liên tục cực kỳ mạnh, đạt cấp độ cao nhất trong thang phân loại. Tuy nhiên, không có một định nghĩa chuẩn mực toàn cầu duy nhất:
- Tại khu vực Tây Bắc Thái Bình Dương (bao gồm Biển Đông): Theo Cơ quan Khí tượng Nhật Bản (JMA) và Trung tâm Cảnh báo Bão Liên hợp (JTWC), một cơn bão được xếp vào loại “Siêu bão” khi sức gió duy trì liên tục trong 10 phút đạt từ 100 hải lý/giờ (185 km/h) trở lên. Tương đương cấp 15 trở lên trên thang sức gió Beaufort mở rộng. Ở cường độ này, nó tương đương cấp 4 hoặc 5 trong thang bão Saffir-Simpson.
- Tại Đại Tây Dương và Đông Bắc Thái Bình Dương: Khái niệm “Siêu bão” ít được dùng chính thức hơn. Thay vào đó, người ta dùng thang Saffir-Simpson để phân loại. Một cơn bão đạt cấp 5 (sức gió từ 252 km/h hoặc 157 dặm/giờ trở lên) trên thang này chính là một siêu bão, với sức tàn phá thảm khốc.

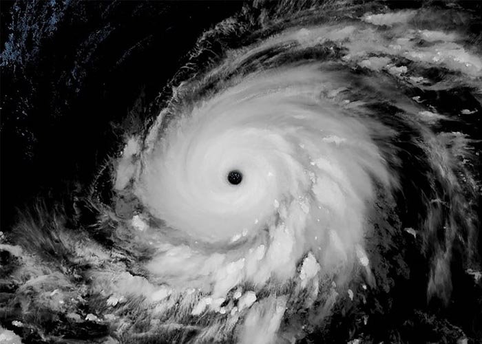
Hình ảnh vệ tinh về siêu bão
Tóm lại, siêu bão là đỉnh điểm của sức mạnh bão nhiệt đới, một cỗ máy hủy diệt hoàn hảo được nuôi dưỡng bởi đại dương ấm.
Cấu trúc của siêu bão
Cấu trúc của siêu bão tương tự như bão nhiệt đới thông thường nhưng được tổ chức và phát triển mạnh mẽ hơn nhiều, với các đặc điểm vật lý rõ rệt. Các thành phần cấu trúc chính của siêu bão gồm có:
- Mắt bão: Đây là trung tâm của siêu bão, một khu vực hình tròn, tương đối yên tĩnh, không khí chìm xuống, trời quang đãng và gió nhẹ. Mắt bão của siêu bão thường nhỏ hơn và đối xứng hoàn hảo hơn so với bão yếu, cho thấy cường độ cực đại của hệ thống.
- Vách mắt bão: Vành đai bao quanh Mắt bão. Đây là khu vực nguy hiểm nhất, nơi xảy ra gió mạnh nhất, mưa lớn nhất và sự đối lưu dữ dội nhất.
- Các dải mưa xoắn ốc: Các dải mây dông kéo dài, xoắn ốc từ ngoại vi hướng vào trung tâm bão. Các dải này cũng gây ra mưa và gió giật mạnh, nhưng cường độ thấp hơn Vách mắt bão.
- Vùng áp suất thấp: Áp suất khí quyển tại trung tâm siêu bão là cực kỳ thấp, tạo ra lực hút mạnh mẽ hút không khí từ xung quanh vào, duy trì sức gió khủng khiếp.

Cấu trúc của siêu bão tương tự các cơn bão thông thường nhưng mạnh hơn
Nguyên nhân hình thành bão
Siêu bão hình thành từ những điều kiện cực kỳ thuận lợi, cho phép nó hút năng lượng từ đại dương một cách tối đa:
- Nhiệt độ nước biển rất cao và sâu: Không chỉ bề mặt ấm (>26.5°C), mà lớp nước ấm phải sâu hàng chục mét, cung cấp nguồn “nhiên liệu” hơi nước dồi dào, liên tục.
- Độ ẩm khí quyển cực cao: Không khí ẩm từ bề mặt lên đến tầng cao, giúp duy trì liên tục quá trình ngưng tụ – giải phóng nhiệt ẩn khổng lồ (động cơ của bão).
- Độ đứt gió thẳng đứng cực thấp: Sự thay đổi hướng và tốc độ gió theo chiều thẳng đứng phải rất nhỏ. Điều này cho phép cấu trúc xoáy của bão phát triển thẳng đứng mà không bị “cắt đứt” hoặc “thổi bay”.
- Khoảng cách đủ xa khỏi xích đạo: Để lực Coriolis đủ mạnh tạo hiệu ứng xoáy, thường từ vĩ độ 5° trở lên.
- Một nhiễu động thời tiết mạnh ban đầu: Như một vùng áp thấp sâu hoặc sóng đông mạnh.
Khi tất cả điều kiện này hội tụ trong một thời gian dài, một cơn bão bình thường có thể hút năng lượng không ngừng và mạnh lên thành siêu bão.

Nhiệt độ nước biển ấm và sâu là một trong những điều kiện để tạo thành bão
Siêu bão nguy hiểm như thế nào?
Sức tàn phá của siêu bão là ở cấp độ hủy diệt và toàn diện, cụ thể như sau:
- Sức gió siêu cấp: Gió duy trì có thể vượt 250 – 300km/h, với những cơn gió giật còn cao hơn nữa. Sức gió này có thể thổi bay nhà cửa kiên cố, bật gốc cây lớn, biến các mảnh vỡ thành những viên đạn chết người.
- Nước dâng do bão cực cao: Đây thường là nguyên nhân gây chết người nhiều nhất. Gió siêu mạnh đẩy một khối nước biển khổng lồ (có thể cao 5 – 10 mét hoặc hơn) ập vào bờ với tốc độ cao, nhấn chìm hoàn toàn các vùng ven biển, phá hủy mọi công trình trên đường đi.
- Mưa lớn cực đoan gây lũ lụt thảm khốc: Siêu bão có thể mang theo lượng mưa hàng trăm, thậm chí hàng ngàn mm trong vài ngày. Mưa lớn gây ra lũ lụt trên diện rộng, lũ quét và sạt lở đất ở vùng núi, cô lập các khu vực.
- Lốc xoáy: Trong các dải mưa giông của siêu bão, nhiều cơn lốc xoáy có thể hình thành, gây thiệt hại cục bộ cực mạnh.

Siêu bão có thể gây ra lốc xoáy
Siêu bão khác gì so với bão thông thường?
Sự khác biệt không chỉ về cường độ mà còn về chất lượng và mức độ ảnh hưởng:
|
Đặc điểm |
Bão thông thường |
Siêu bão |
| Cấp độ | Cấp 1 – 2 | Cấp 4 – 5 |
| Tốc độ gió | 119km/h đến 177km/h | Từ 209km/h trở lên |
| Áp suất trung tâm | Cao hơn, trên 970 hPa | Cực thấp, thường dưới 940 hPa |
| Mắt bão | Thường lớn, không rõ ràng, ít đối xứng | Nhỏ, rõ ràng, đối xứng |
| Khả năng hủy diệt | Gây thiệt hại đáng kể, đứt gãy điện | Huỷ diệt thảm khốc, sụp đổ cơ sở hạ tầng |
| Nước dâng | Dưới 2 mét | Trên 3.5 mét (thường là 5 mét trở lên) |
Những biện pháp giúp giảm thiểu thiệt hại từ siêu bão
Đối phó với siêu bão đòi hỏi sự chuẩn bị từ rất sớm và hành động quyết liệt:
- Hệ thống cảnh báo sớm và dự báo chính xác: Đầu tư vào công nghệ vệ tinh, radar, máy bay thám sát để theo dõi, dự báo chính xác đường đi và cường độ, cho phép có thời gian sơ tán dài hơn.
- Sơ tán bắt buộc và triệt để: Đây là biện pháp hiệu quả nhất để cứu người. Chính quyền phải ra lệnh sơ tán sớm và bắt buộc đối với cư dân vùng trũng thấp, ven biển, bờ sông trước khi bão đổ bộ.
- Xây dựng cơ sở hạ tầng kiên cố: Xây dựng nhà chống bão, đê điều, kè biển đủ tiêu chuẩn để chịu được sức gió và nước dâng của siêu bão.
- Quy hoạch sử dụng đất hợp lý: Hạn chế xây dựng các công trình quan trọng và khu dân cư ở những vùng có nguy cơ nước dâng cao nhất.
- Nâng cao nhận thức và chuẩn bị của cộng đồng: Người dân cần biết kế hoạch sơ tán, chuẩn bị sẵn túi cứu thân, gia cố nhà cửa và tuân thủ tuyệt đối chỉ đạo của chính quyền.

Sơ tán dân ở những vùng có nguy cơ xảy ra ảnh hưởng lớn
Các câu hỏi liên quan
Dưới đây là một vài câu hỏi liên quan tới siêu bão mà bạn đọc có thể quan tâm. Chi tiết như sau:
Hoàn lưu siêu bão là gì?
Hoàn lưu siêu bão là hệ thống lưu thông không khí xoáy tròn của siêu bão khi nó còn mạnh, bao gồm gió dữ dội nhất ở vách mắt bão, nơi không khí ẩm bốc lên mạnh mẽ. Khi siêu bão tan rã, hoàn lưu sau bão vẫn mang theo lượng hơi ẩm khổng lồ, gây ra mưa lớn và lũ lụt kéo dài ở sâu trong nội địa, ngay cả khi gió đã giảm đi đáng kể.
Biến đổi khí hậu có làm siêu bão mạnh hơn không?
Nghiên cứu khoa học cho thấy có mối liên hệ mật thiết. Biến đổi khí hậu đang làm tăng nhiệt độ mặt nước biển, cung cấp nguồn năng lượng dồi dào hơn cho các cơn bão. Điều này không nhất thiết làm tăng số lượng bão, nhưng nó làm tăng:
- Cường độ cực đại: Khả năng các cơn bão đạt đến cấp độ siêu bão (cấp 4 và cấp 5) đang gia tăng.
- Mưa lớn: Khí quyển ấm hơn giữ được nhiều hơi nước hơn, dẫn đến lượng mưa lớn hơn đáng kể trong các cơn bão.
- Tốc độ tăng cường: Khả năng bão tăng cường độ nhanh chóng cũng được ghi nhận tăng lên.
Siêu bão là gì? Chúng là lời nhắc nhở kinh hoàng nhất về sức mạnh của tự nhiên. Với tốc độ gió hủy diệt và khả năng gây ra nước dâng khổng lồ, siêu bão đòi hỏi sự chuẩn bị không ngừng và hệ thống cảnh báo sớm cực kỳ hiệu quả. Với tình trạng biến đổi khí hậu như hiện nay, việc theo dõi, nghiên cứu và xây dựng khả năng chống chịu trước siêu bão là ưu tiên hàng đầu để bảo vệ cộng đồng ven biển trên toàn thế giới.
26°
Mây rải rác
Cảm giác như 29°.
Mặt trời mọc/lặn
Thấp/Cao
Độ ẩm
Tầm nhìn
Gió
Điểm ngưng
UV
Tin tức mới nhất
